売土地 亘理町逢隈高屋字保原 残り1区画 土地面積272.01㎡(82.28坪) 450万円 450万円 272.01m² 物件の詳細を見る 価格 450万円 売地 坪単価5.46万円 所在地 宮城県亘理郡亘理町 逢隈高屋字保原 逢隈高屋字保原 交通 JR常磐線 亘理駅 徒歩37分 面積 土地 272.01m² 建蔽率/容積率 70% / 200% 区画番号 現況 更地 物件番号 10 設備・条件 公営水道 排水下水 上下水道完備、私道(236㎡)持分1/8無償譲渡
売土地 亘理町吉田字中原48-10他 面積:714㎡(215.9坪)470万円 水道引き込み後引き渡し 470万円 714m² 物件の詳細を見る 価格 470万円 売地 坪単価2.17万円 所在地 宮城県亘理郡亘理町 吉田字中原 亘理町吉田字中原48-10土地 交通 JR常磐線 浜吉田駅 徒歩40分 面積 土地 714m² 建蔽率/容積率 70% / 200% 区画番号 現況 更地 物件番号 29 設備・条件 上水道引き込み後引き渡し(PP20mm)、要浄化槽、宅地造成盛土規制法、景観法
売土地 亘理町吉田字下新道16-4 土地面積 333.13㎡(100坪)480万円 480万円 333.13m² 物件の詳細を見る 価格 480万円 売地 坪単価4.8万円 所在地 宮城県亘理郡亘理町 吉田字下新道 吉田下新道売土地 交通 JR常磐線 浜吉田駅 徒歩7分 面積 土地 333.13m² 建蔽率/容積率 70% / 200% 区画番号 現況 更地 物件番号 3 設備・条件 下水無、要設置浄化層、上水道引込み後引き渡し(売主負担)、個別LPG
売土地 亘理町長瀞字鹿野50-8 土地面積:662.79㎡(200.4坪)一部農地(畑)にて売買(実際畑使用条件)農地部分:331.73㎡(100.3坪)550万円 550万円 662.79m² 物件の詳細を見る 価格 550万円 売地 坪単価2.75万円 所在地 宮城県亘理郡亘理町 長瀞字鹿野 亘理町長瀞字鹿野50-8 交通 JR常磐線 亘理駅 徒歩42分 面積 土地 662.79m² 建蔽率/容積率 70% / 200% 区画番号 現況 更地 物件番号 30 設備・条件 上水道引き込み後引き渡しPP20mm、別途水道加入金要、浄化槽設置要、農地転用要(売主)農地転用(一部畑使用)
売土地 亘理郡亘理町字南町東86、87 面積1,755㎡(530坪)630万円 事業用地に最適です。分譲+アパート用地等 630万円 1755m² 物件の詳細を見る 価格 630万円 売地 坪単価1.415万円 所在地 宮城県亘理郡亘理町 字南町東 亘理町南町東86 交通 JR常磐線 亘理駅 徒歩24分 面積 土地 1755m² 建蔽率/容積率 60% / 200% 区画番号 現況 更地 物件番号 44 設備・条件 排水下水 上水道要引き込み、農地法申請要、亘理町開発協定要、造成工事必要
売土地 亘理町字油田117-9 土地面積283.37㎡(85.7坪) 680万円 上下水道完備 現況渡し 680万円 283.37m² 物件の詳細を見る 価格 680万円 売地 坪単価7.9万円 所在地 宮城県亘理郡亘理町 字油田117-9 亘理町字油田 交通 JR常磐線 亘理駅 徒歩21分 面積 土地 283.37m² 建蔽率/容積率 60% / 200% 区画番号 現況 古屋あり 物件番号 31 設備・条件 公営水道 排水下水 現況渡し 水道VP13mmです。20mmとする場合は買主負担となります。
売土地 亘理町字桜小路42-10 土地面積205.29㎡(62.1坪)710万円 710万円 205.29m² 物件の詳細を見る 価格 710万円 売地 坪単価11.44万円 所在地 宮城県亘理郡亘理町 字桜小路 交通 JR常磐線 亘理駅 徒歩11分 面積 土地 205.29m² 建蔽率/容積率 60% / 200% 区画番号 現況 更地 物件番号 18 設備・条件 公営水道 排水下水 境界明示の上引渡し、上下水道(但しVP20mm)現地堀削必要
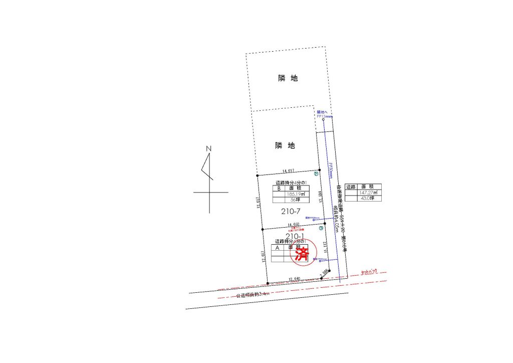
売土地 亘理町字上浜街道154-3 面積362㎡(109.5坪)他2筆 820万円 820万円 362m² 物件の詳細を見る 価格 820万円 売地 坪単価7.4万円 所在地 宮城県亘理郡亘理町 字上浜街道154-3、154-1,155-1 亘理町字上浜街道154-3 交通 JR常磐線 亘理駅 徒歩15分 面積 土地 362m² 建蔽率/容積率 60% / 200% 区画番号 現況 更地 物件番号 32 設備・条件 所有者負担水道引込、西側、南側土留完了後引き渡し、農地転用要(所有者負担)、別途水道加入金約115,000円が必要となります。
中古物件 亘理町吉田字上塚38-2 土地面積265.31㎡(80.2坪)建物98.12㎡(29.6坪)4DK 850万円 リフォーム後引き渡し!解体更地渡し可能(価格320万円) 850万円 4DK 98.12m² 物件の詳細を見る 価格 850万円 中古戸建 間取4DK 所在地 宮城県亘理郡亘理町 吉田字上塚 亘理町吉田上塚 交通 JR常磐線 浜吉田駅 徒歩14分 築年月 1992/12 構造 木造 階建 地上 1階 部屋階数 1階 面積 専有 98.12m² 土地 265.31m² 建蔽率/容積率 70% / 200% 物件番号 81 設備・条件 追い焚き ユニットバス プロパンガス 出窓 フローリング 平面図の通り修繕後引き渡し、建物傾き有(修繕に含但し限界あり)今後も傾く可能性あり、東日本大震災津波浸水区域、解体更地渡し対応可(320万円)
売土地 亘理郡亘理町字台田48-2 上水道、既存物置解体、造成後引き渡し!415㎡(125.5坪)878万円 878万円 415m² 物件の詳細を見る 価格 878万円 売地 坪単価7万円 所在地 宮城県亘理郡亘理町 字台田 亘理町字台田 交通 JR常磐線 亘理駅 徒歩24分 面積 土地 415m² 建蔽率/容積率 60% / 200% 区画番号 現況 古屋あり(更地引渡可) 物件番号 41 設備・条件 排水下水 上水道、農地法5条許可、土盛、北側土留、既存物置解体渡し(売主負担)、景観法、航空法、都市計画道路W=16、セットバック要
売土地 亘理町逢隈十文字字大手 面積487.27㎡ 1000万円 売主負担で土留め工事後引渡 1,000万円 482.27m² 物件の詳細を見る 価格 1,000万円 売地 坪単価6.8万円 所在地 宮城県亘理郡亘理町 逢隈十文字字大手 逢隈十文字字大手33-1 交通 JR常磐線 亘理駅 徒歩31分 面積 土地 482.27m² 建蔽率/容積率 70% / 200% 区画番号 現況 更地 物件番号 27 設備・条件 プロパンガス 上水道は買主様で引込要となります。下水道は亘理町へ申請後2カ月後引込可能。文化財保護法により規制有
売土地 亘理町逢隈鹿島字倉庭8-9他 土地面積:410.08㎡(124.0坪) 1030万円 1,030万円 410.08m² 物件の詳細を見る 価格 1,030万円 売地 坪単価8.58万円 所在地 宮城県亘理郡亘理町 逢隈鹿島字倉庭 亘理町逢隈鹿島字倉庭 交通 JR常磐線 亘理駅 徒歩17分 面積 土地 410.08m² 建蔽率/容積率 60% / 200% 区画番号 現況 更地 物件番号 1 設備・条件 排水下水 農地法、公図と相違あり現況渡し、地目変更(農地部分)は買主負担、上水道は売主負担、雨水側溝なし(浸透式)
売土地 亘理町字新井町59 土地面積:432.09㎡(130.7坪) 1120万円 1,120万円 432.09m² 物件の詳細を見る 価格 1,120万円 売地 坪単価8.5万円 所在地 宮城県亘理郡亘理町 字新井町59 亘理町字新井町 交通 JR常磐線 亘理駅 徒歩13分 面積 土地 432.09m² 建蔽率/容積率 60% / 200% 区画番号 現況 更地 物件番号 設備・条件 公営水道 排水下水 上水道引き込み後引き渡しPP20mm、セットバック要約(約38.6㎡)都市計画道路W=16予定
売土地 亘理町字台田87-1他 土地面積:421.03㎡(127.3坪)1140万円 既存建物解体更地、造成(盛土)上下水道設置後引き渡し 1,140万円 4210.03m² 物件の詳細を見る 価格 1,140万円 売地 坪単価8.96万円 所在地 宮城県亘理郡亘理町 字台田37-1他 亘理町字台田37-1他 交通 JR常磐線 亘理駅 徒歩26分 面積 土地 4210.03m² 建蔽率/容積率 60% / 200% 区画番号B区画 現況 古屋あり(更地引渡可) 物件番号 35 設備・条件 公営水道 排水下水 農地法、都市計画道路W=16(セットバック要17㎡)一部造成(盛土、一部土留)上下水道完備、既存建物解体
売事業用 亘理町字龍円寺前1 土地面積:807㎡(244.1坪) 建物面積:60.86㎡(18.4坪)1240万円 1,240万円 60.86m² 物件の詳細を見る 価格 1,240万円 事務所 坪単価5.07万円 所在地 宮城県亘理郡亘理町 字龍円寺前 亘理町字龍円寺前 交通 JR常磐線 亘理駅 徒歩32分 築年月 1996/04 構造 軽量鉄骨 階建 地上 1階 部屋階数 面積 専有 60.86m² 土地 807m² 建蔽率/容積率 60% / 200% 部屋番号 現況 空家 物件番号 設備・条件 公営水道 排水浄化槽 上水道ありPP20mm、下水道区域外の為浄化槽設置要、前面道路非道路(但し43条2項第」2号申請で建築可)新築の申請費用は買主負担、売主負担に境界確定と建物表題登記を行います。